![]() |
| The halau at Miloli'i will be removed and replaced by County Parks & Recreation with new parking, sports courts, pavilion and a setback from the shoreline. Photo by Julia Neal |
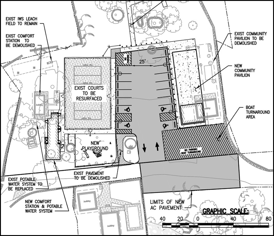
MILOLI'I HALAU ON THE OCEAN WILL BE REPLACED, according to the Environmental Assessment published on Thursday on the state's Environmental Notice website https://planning.hawaii.gov/erp/environmental-notice/
The facility, which includes the halau, a place to store canoes, a pavilion with tables and facilities for meetings, classes, lu'au, and other events is open air. It is unpermitted and on the water. The new pavilion will be set back from storm surge. The county park also includes walkways, parking, volleyball and basketball courts and restrooms, which are "in a state of disrepair, with cracks and eroded areas," says the final EA.
![]() |
| The plan for replacement of the Miloli'i halau -pavilion, parking and sports facilities. Image from County of Hawai'i |
The EA says, "Both the restroom and hālau/pavilion structures must be replaced in their entirety due to their age and extensive need for repair and modifications, and because the pavilion is located in the flood zone. Further, the existing pavilion is currently unpermited, and would be brought up to County standards with implementation of the proposed improvements.”
According to the County, the objectives of the project are:
To protect the health and safety of the public.
To bring the existing park facilities into compliance with ADA guidelines and County permit requirements.
To provide connecting walks and ramps to park facilities for greater accessibility from feature to feature.
To maintain fishing access for local community.
To maintain the character of the existing Miloli‘i Beach Park.
To provide improved recreational facilities for the Miloli‘i community.
To improve the longevity of existing beach park facilities.
The EA also says, "Due to the proximity of nearshore ocean waters. the project could present increased
![]() |
| The halau at Miloli'i is an iconic gathering place. |
"Turbidity and siltation from project-related work should be minimized and contained within the project area by silt containment devices and curtailing work during flooding or adverse tidal and weather conditions. BMPs should be maintained for the life of the construction period until turbidity and siltation within the project area is stabilized. All project construction-related debris and sediment containment devices should be removed and disposed of at an approved site.
"All project construction-related materials and equipment (dredges, vessels, backhoes, silt curtains, etc.) to be placed in an aquatic environment should be inspected for pollutants including, but not limited to; marine fouling organisms, grease, oil, etc., and cleaned to remove pollutants prior to use. Project related activities should not result in any debris disposal, non-native species introductions, or attraction of nonnative pests to the affected or adjacent aquatic or terrestrial habitats. Implementing both a litter-control
![]() |
| Miloli'i's county park is set for upgrades. Photo by Kai Kahele |
plan and a Hazard Analysis and Critical Control Point plan can help to prevent attraction and introduction of non-native species.
"Project construction-related materials (fill, revetment rock, pipe, etc.) should not be stockpiled in, or in close proximity to aquatic habitats and should be protected from erosion (e.g., with filter fabric, etc.), to prevent materials from being carried into waters by wind, rain, or high surf.
"Fueling of project-related vehicles and equipment should take place away from the aquatic environment and a contingency plan to control petroleum products accidentally spilled during the project should be developed. The plan should be retained on site with the person responsible for compliance with the plan. Absorbent pads and containment booms should be stored on-site to facilitate the clean-up of accidental petroleum releases.
"All deliberately exposed soil or under-layer materials used in the project near water should be protected from erosion and stabilized as soon as possible with geotextile, filter fabric or native or non-invasive vegetation matting, hydro-seeding, etc. These BMPs will be refined in accordance with County of Hawai‘i regulatory requirements as part of the permitting process."
The Final EA was accepted as Finding of No Significant Impact, or FONSI, which eliminates the requirement to prepare an Environmental Impact Statement.
To read comments, add your own, and like this story, see facebook.com/kaucalendar. See latest print edition at kaucalendar.com, in the mail and on stands.
A SUPER BOWL PARTY ALERT has been issued by Hawai'i Police Department, which notes that six weeks into the new year there have already been five traffic fatalities on island:
With Super Bowl LVII happening this Sunday, Feb. 12, Hawai‘i Island police have teamed up with the National Highway Traffic Safety Administration to remind Big Island football fans that Fans Don’t Let Fans Drive Drunk. Those heading out to a Super Bowl party who plan to drink alcohol, urges HPD, "Make
sure you plan for a designated driver to get you home safely after the game."
“We want our community members to enjoy Super Bowl festivities, but we also want responsible drivers on our roads,” said Torey Keltner, Hawai‘i Police Department’s Traffic Services Manager.
“If you’re planning to be away from home during Super Bowl, make a game plan to ensure you don’t find yourself without a designated driver if you need one. If you’re hosting a party, make sure you take care of your designated drivers. Remind your friends and family: Fans Don’t Let Fans Drive Drunk.”
Impaired driving is on the of the most significant dangers on Hawai'i Island's roadways. Last year there were 34 traffic fatalities on island, the highest number of deaths since 2012, when there were 38 traffic deaths. Of those 34 deaths, impairment a factor in half, or 17, of those deaths. In 2021 there were 26 traffic fatalities on Hawai‘i Island, with 21 of those deaths due to impairment, either drugs, alcohol, or a combination of both. HPD recommends:
Be the DD MVP: If you’re planning to be a designated driver, know that you’re the day’s MVP and that people are relying on you. Your positive influence could help keep them on the right track.
Host a Winning Party: If you’re hosting a party for this year’s Super Bowl, prepare plenty of snacks and nonalcoholic drinks for your guests and the designated drivers. Ask your guests to designate their sober drivers in advance. Remind drinking guests that they have a long day ahead of them, and encourage them to pace themselves, to eat food, and to drink plenty of water.
Have a Game Plan: Whether you are attending a party or going to a bar or restaurant, make a game plan and follow these simple tips for a safe and happy day:Remember that it is never okay to drink and drive. Even if you’ve had only one alcoholic beverage, designate a sober driver or plan to use a ride service or call a taxi or sober friend to get home safely. If someone you know has been drinking and tries to drive, take their keys and help them get home safely. They may complain, but they’ll thank you later.
If you see a drunk driver on the road, contact the police department’s non-emergency line at (808) 935-3311. If it’s an emergency, call 911.
HPD cautions: "Only one team wins Super Bowl, but if you drive drunk, you lose. Score the big win during Super Bowl LVII with a commitment to sober driving."
To read comments, add your own, and like this story, see facebook.com/kaucalendar. See latest print edition at kaucalendar.com, in the mail and on stands.




FREE FOOD
St. Jude's Hot Meals are free to those in need on Saturdays from 9 a.m. until food runs out, no later than noon. Volunteers from the community are welcome to help and can contact Karen at pooch53@gmail.com. Location is 96-8606 Paradise Circle Drive in Ocean View. Those in need can also take hot showers from 9 a.m. to noon and use the computer lab from 9:30 a.m. to 1 p.m.
Free Meals Mondays, Wednesdays, and Fridays are served from 12:30 p.m. to 3:30 p.m. at Nā'ālehu Hongwanji. Volunteers prepare the food provided by 'O Ka'ū Kākou with fresh produce from its gardens on the farm of Eva Liu, who supports the project. Other community members also make donations and approximately 150 meals are served each day, according to OKK President Wayne Kawachi.
OUTDOOR MARKETS
Volcano Evening Market, Cooper Center, Volcano Village, Thursdays, 3 p.m. to 6 p.m., with live music, artisan crafts, ono grinds, and fresh produce. See facebook.com.
Volcano Swap Meet, fourth Saturday of the month from 8 a.m. to noon. Large variety of vendors with numerous products. Tools, clothes, books, toys, local made healing extract and creams, antiques, jewelry, gemstones, crystals, food, music, plants, fruits, and vegetables. Also offered are cakes, coffee, and shave ice. Live music.
Volcano Farmers Market, Cooper Center, Volcano Village on Sundays, 6 a.m. to 10 a.m., with local produce, baked goods, food to go, island beef and Ka'ū Coffee. EBT is used for Supplemental Nutrition Assistance Program, formerly Food Stamps. Call 808-967-7800.
Ka'ū Kākou Market, Nā'ālehu, Wednesdays, 8 a.m. to 2 p.m. Contact Nadine Ebert at 808-938-5124 or June Domondon 808-938-4875. See facebook.com/OKauKakouMarket.
Ocean View Community Market, Saturdays and Wednesdays, 6:30 a.m. to 2 p.m., corner of Kona Drive and Highway 11, where Thai Grindz is located. Masks mandatory. 100-person limit, social distancing required. Gate unlocked for vendors at 5:30 a.m., $15 dollars, no reservations needed. Parking in the upper lot only. Vendors must provide their own sanitizer. Food vendor permits required. Carpooling is encouraged.

With Super Bowl LVII happening this Sunday, Feb. 12, Hawai‘i Island police have teamed up with the National Highway Traffic Safety Administration to remind Big Island football fans that Fans Don’t Let Fans Drive Drunk. Those heading out to a Super Bowl party who plan to drink alcohol, urges HPD, "Make
sure you plan for a designated driver to get you home safely after the game."
“We want our community members to enjoy Super Bowl festivities, but we also want responsible drivers on our roads,” said Torey Keltner, Hawai‘i Police Department’s Traffic Services Manager.
“If you’re planning to be away from home during Super Bowl, make a game plan to ensure you don’t find yourself without a designated driver if you need one. If you’re hosting a party, make sure you take care of your designated drivers. Remind your friends and family: Fans Don’t Let Fans Drive Drunk.”
Impaired driving is on the of the most significant dangers on Hawai'i Island's roadways. Last year there were 34 traffic fatalities on island, the highest number of deaths since 2012, when there were 38 traffic deaths. Of those 34 deaths, impairment a factor in half, or 17, of those deaths. In 2021 there were 26 traffic fatalities on Hawai‘i Island, with 21 of those deaths due to impairment, either drugs, alcohol, or a combination of both. HPD recommends:
Be the DD MVP: If you’re planning to be a designated driver, know that you’re the day’s MVP and that people are relying on you. Your positive influence could help keep them on the right track.
Host a Winning Party: If you’re hosting a party for this year’s Super Bowl, prepare plenty of snacks and nonalcoholic drinks for your guests and the designated drivers. Ask your guests to designate their sober drivers in advance. Remind drinking guests that they have a long day ahead of them, and encourage them to pace themselves, to eat food, and to drink plenty of water.
Have a Game Plan: Whether you are attending a party or going to a bar or restaurant, make a game plan and follow these simple tips for a safe and happy day:Remember that it is never okay to drink and drive. Even if you’ve had only one alcoholic beverage, designate a sober driver or plan to use a ride service or call a taxi or sober friend to get home safely. If someone you know has been drinking and tries to drive, take their keys and help them get home safely. They may complain, but they’ll thank you later.
If you see a drunk driver on the road, contact the police department’s non-emergency line at (808) 935-3311. If it’s an emergency, call 911.
HPD cautions: "Only one team wins Super Bowl, but if you drive drunk, you lose. Score the big win during Super Bowl LVII with a commitment to sober driving."




FREE FOOD
St. Jude's Hot Meals are free to those in need on Saturdays from 9 a.m. until food runs out, no later than noon. Volunteers from the community are welcome to help and can contact Karen at pooch53@gmail.com. Location is 96-8606 Paradise Circle Drive in Ocean View. Those in need can also take hot showers from 9 a.m. to noon and use the computer lab from 9:30 a.m. to 1 p.m.
Free Meals Mondays, Wednesdays, and Fridays are served from 12:30 p.m. to 3:30 p.m. at Nā'ālehu Hongwanji. Volunteers prepare the food provided by 'O Ka'ū Kākou with fresh produce from its gardens on the farm of Eva Liu, who supports the project. Other community members also make donations and approximately 150 meals are served each day, according to OKK President Wayne Kawachi.
OUTDOOR MARKETS
Volcano Evening Market, Cooper Center, Volcano Village, Thursdays, 3 p.m. to 6 p.m., with live music, artisan crafts, ono grinds, and fresh produce. See facebook.com.
Volcano Swap Meet, fourth Saturday of the month from 8 a.m. to noon. Large variety of vendors with numerous products. Tools, clothes, books, toys, local made healing extract and creams, antiques, jewelry, gemstones, crystals, food, music, plants, fruits, and vegetables. Also offered are cakes, coffee, and shave ice. Live music.
Volcano Farmers Market, Cooper Center, Volcano Village on Sundays, 6 a.m. to 10 a.m., with local produce, baked goods, food to go, island beef and Ka'ū Coffee. EBT is used for Supplemental Nutrition Assistance Program, formerly Food Stamps. Call 808-967-7800.
Ka'ū Kākou Market, Nā'ālehu, Wednesdays, 8 a.m. to 2 p.m. Contact Nadine Ebert at 808-938-5124 or June Domondon 808-938-4875. See facebook.com/OKauKakouMarket.
Ocean View Community Market, Saturdays and Wednesdays, 6:30 a.m. to 2 p.m., corner of Kona Drive and Highway 11, where Thai Grindz is located. Masks mandatory. 100-person limit, social distancing required. Gate unlocked for vendors at 5:30 a.m., $15 dollars, no reservations needed. Parking in the upper lot only. Vendors must provide their own sanitizer. Food vendor permits required. Carpooling is encouraged.





